Loturi Intravilan Rate pe Lac Com Berceni | utilitati in zona | #LG12
12 290
EUR
Valabil din 10/3/2025 1:46:46 PM
2
1 / 7
Specificații
Suprafata terenului
373
m2
Cod de identificare
P193181
Numar fronturi
1
Amenajare strazi
Asfaltate, Pietruite
Descriere
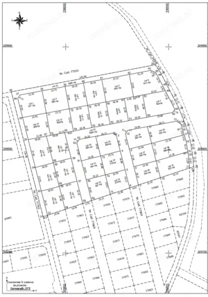
Teren intravilan in rate direct de la dezvoltator cu utilitati in zona, în apropiere de Mamina, Str. Manastiri - comuna Berceni
- suprafețe de la 373mp la 503mp
- utiliăți: in zona
- acces la: strada asfaltata in apropiere
- acces pasaj Berceni, metrou Tudor Arghezi
Prețurile nu includ TVA, iar avansul și ratele lunare diferă de la un proiect de loturi la altul.
Important: Imaginile sunt cu caracter informativ, iar delimitarea loturilor poate diferi in realitate.
ComunaBerceni™ crede in verde
...de peste 10 ani impreuna
Dezvoltator imobiliar ComunaBerceni.ro - Sediul: Bd. 1 Mai 65 - Berceni, Ilfov.
Raportează
- suprafețe de la 373mp la 503mp
- utiliăți: in zona
- acces la: strada asfaltata in apropiere
- acces pasaj Berceni, metrou Tudor Arghezi
Prețurile nu includ TVA, iar avansul și ratele lunare diferă de la un proiect de loturi la altul.
Important: Imaginile sunt cu caracter informativ, iar delimitarea loturilor poate diferi in realitate.
ComunaBerceni™ crede in verde
...de peste 10 ani impreuna
Dezvoltator imobiliar ComunaBerceni.ro - Sediul: Bd. 1 Mai 65 - Berceni, Ilfov.
ID anunț: 1759488533
Fă ofertă
Anunțuri recomandate
Pentru a contacta acest utilizator, intră în contul tău Romimo.ro sau creează-ți rapid un cont nou!