Salvează căutarea Adaugă anunț
Vei fi notificat de câte ori:

Trimite unui prieten

Trimite

9 MAI- TEREN INTRAVILAN , 3 LOTURI

118 000 EUR
Valabil din 9/29/2025 4:23:49 PM
Specificații
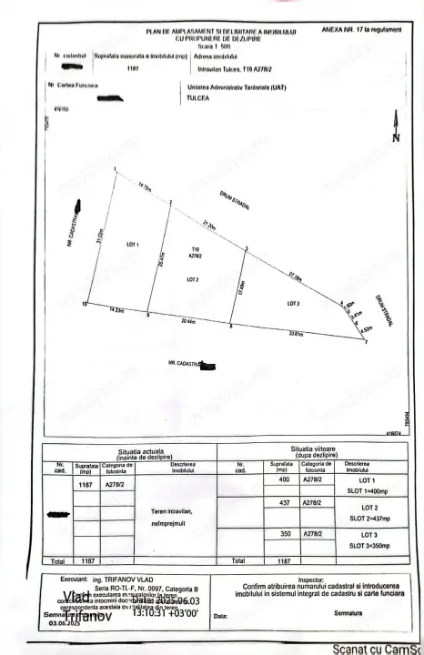
Suprafata terenului
1187 m2
Front stradal
42
Numar fronturi
2
Descriere
Dobrogea Imobiliare va prezinta spre vanzare trei loturi de teren intravilan in zona 9 Mai.
Se poate vinde suprafata totala sau lotizat astfel:
-Lot 1-suprafata 400mp ,deschidere stradala 14,75ml
-Lot 2-suprafata 437 mp, deschidere stradala 21,20 ml
-Lot 3- suprafata 350 mp,deschidere stradala 27,18 ml
Lot 1+Lot 2+Lot 3=1187mp
Utilitatile sunt in apropiere.
Va așteptam la vizionare! Ne puteți vizita la sediul nostru situat pe str. Pacii, nr. 6 (la parterul hotelului Select) pentru consultanta gratuita
Pentru mai multe oferte vizitați site-ul www.Dobrogea-Imobiliare.ro sau pagina https://www.facebook.com/agentia.dobrogea.

ID anunț: 1759152778

Raportează
Fă ofertă

Anunțuri recomandate

Contactează vânzătorul
Pentru a reduce riscul mesajelor de tip spam, adresele de email nu sunt permise in mesagerie.
Caractere rămase: 3000
Adaugă fișier
? Fișiere acceptate: jpg, jpeg, png, doc, pdf, txt, xls, docx, xlsx, odt, heic, heif, cu o mărime maximă de 10Mb.

DOBROGEA IMOBILIARE

Agenție imobiliară