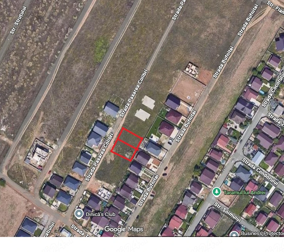
Doua loturi teren intravilan 406 si 402 mp, deschidere 14 mp fiecare, Pantelimon, str Colibri

50 750 EUR negociabil
Valabil din 4/25/2026 10:15:35 AM
Specificații
Suprafata terenului
406 m2
Descriere
Se ofera spre vanzare 2 terenuri intravilane, cu suprafete de 402 si 406 mp, ideale pentru constructia unei case.
Fiecare teren beneficiaza de deschidere stradala de aproximativ 14 mp, oferind un front generos si flexibilitate in proiectare. Adancimea loturilor este de aprox 30 mp.
- toate utilitatile disponibile;
- acces din strada Colobri;
- zona potrivita pentru locuinte;
- se pot achizitiona separat sau impreuna;

Pret: 125eur mp, negociabil

ID anunț: 1777101929

Raportează
Fă ofertă

Anunțuri recomandate

Contactează vânzătorul
Pentru a reduce riscul mesajelor de tip spam, adresele de email nu sunt permise in mesagerie.
Caractere rămase: 3000
Adaugă fișier
? Fișiere acceptate: jpg, jpeg, png, doc, pdf, txt, xls, docx, xlsx, odt, heic, heif, cu o mărime maximă de 10Mb.