Licitatii publice pentru vanzare terenuri in Focsani

255 976 EUR
Valabil din 4/22/2026 5:41:53 PM
Specificații
Suprafata terenului
36386 m2
Descriere
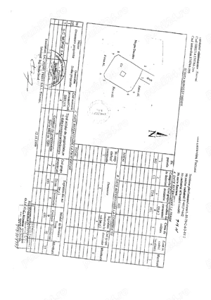
Lichidatorul judiciar al REAL ESTATE VISION SRL organizeaza 2 licitatii publice in datele de 04.05.2026 si 11.05.2026, ora 13.00 pentru vanzarea urmatoarelor loturi de teren situate in Focsani, bd. Bucuresti nr. 4, judetul Vrancea (fost MOPAF Vrancea):

1. Teren in suprafata de 36.386 mp, categorie de folosinta cai ferate (cai ferate dezafectate, cu posibilitate schimbare destinatie construibil), situat in Focsani, Jud. Vrancea, tarla 125; 158, parcela 658; 8121, numar cadastral 907N, CF 51741 pret 255.976 euro + tva;
2. Teren in suprafata de 124 mp, categorie de folosinta curti constructii, intravilan, situat in Focsani, bd. Bucuresti nr. 4, Jud. Vrancea, tarla 158, parcela 8122, numar cadastral 909N, CF 52589 si constructia anexa -putul nr. 6 dezafectat, numar cadastral 909N-C1 -pret 6.907 euro + tva;
3. Teren in suprafata de 495 mp, categorie de folosinta curti constructii, intravilan, situat in Focsani, bd. Bucuresti nr. 4, Jud. Vrancea, tarla 88, parcela 442, numar cadastral 914N, CF 52950 si constructia anexa -putul nr. 8 dezafectat, numar cadastral 914N-C1 -pret 14.306 euro + tva;
4. Teren in suprafata de 250 mp, categorie de folosinta curti constructii, intravilan, situat in Focsani, bd. Bucuresti nr. 4, Jud. Vrancea, tarla 128, parcela 8096, numar cadastral 918N, CF 52608 si constructia anexa -putul nr. 5 dezafectat, numar cadastral 918N-C1 -pret 3.491 euro + tva.

ID anunț: 1729101104

Raportează
Fă ofertă

Anunțuri recomandate

Contactează vânzătorul
Pentru a reduce riscul mesajelor de tip spam, adresele de email nu sunt permise in mesagerie.
Caractere rămase: 3000
Adaugă fișier
? Fișiere acceptate: jpg, jpeg, png, doc, pdf, txt, xls, docx, xlsx, odt, heic, heif, cu o mărime maximă de 10Mb.