Salvează căutarea Adaugă anunț
Vei fi notificat de câte ori:

Trimite unui prieten

Trimite

Teren zona 9 mai Tulcea

125 000 EUR negociabil
Valabil din 10/31/2025 2:49:08 PM
Specificații
Descriere
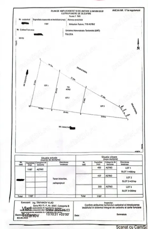
Se oferă spre vânzare un teren intravilan în suprafață totală de 1.187 mp, situat în cartierul 9 Mai Tulcea, pe o stradă liniștită, cu acces facil către oraș și cu potențial rezidențial ridicat.
Acte complete și actualizate:
Certificat de urbanism emis în anul 2025
Cadastru și intabulare finalizate
Propunere de parcelare realizată - 3 loturi distincte, cu suprafețe echilibrate
400mp - deschidere 14,75 ml
437 mp - deschidere 21,20 ml
350 mp - deschidere pe doua laturi 27,10 ml și 10 ml
Proprietar persoană fizică, fără sarcini
Utilități și vecinătăți:
Utilitățile (energie electrică, apă, gaze naturale, canalikzare) sunt în imediata apropiere
În spatele terenului se află un ansamblu rezidențial nou format din 7 case moderne cu acoperiș tip tereasa aflat în construcție - aproape finalizat, ceea ce conferă zonei un ritm accelerat de dezvoltare
Drum de acces asfaltat și 100 ml pietruit, circulabil, cu deschidere generoasă
Posibilități de dezvoltare:
Potrivit pentru construcția de locuințe sau pentru o proprietate individuală cu spațiu verde și anexe
Se poate achiziționa atât integral (1.187 mp), cât și parțial, după dezlipire în funcție de interesul cumpărătorului
Regimul de înălțime, POT și CUT vor fi stabilite prin PUZ (precizat în certificatul de urbanism)
Avantaje suplimentare:
Zonă liniștită, cu vecinătăți de calitate
Investiție sigură, cu potențial de apreciere prețurile terenurilor din zonă au crescut semnificativ în ultimul an
Acces rapid către arterele principale și zona industrială
Toate documentele sunt pregătite pentru vânzare imediată
Preț: 125.000
Preț negociabil în funcție de modalitatea de plată.

ID anunț: 1761915286

Raportează
Fă ofertă

Anunțuri recomandate

Contactează vânzătorul
Pentru a reduce riscul mesajelor de tip spam, adresele de email nu sunt permise in mesagerie.
Caractere rămase: 3000
Adaugă fișier
? Fișiere acceptate: jpg, jpeg, png, doc, pdf, txt, xls, docx, xlsx, odt, heic, heif, cu o mărime maximă de 10Mb.