HALA PRODUCTIE//DEPOZITARE//ZONA TELEAJEN
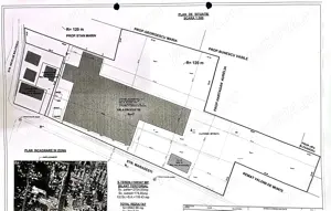
SPARK EXPERT IMOB va prezinta spre inchiriere o hala productie/depozitare/diverse activitati. Structura de rezistenta: metalica cu panouri sandwich Dimensiuni: lungime 36 m, latime 9 m Compartimentare: in afara de hala principala (9 m x 36 m), mai exista un grup sanitar (cu acces din hala), doua ...
360 m2
Mihai Bravu, Ploiesti, Prahova
ieri 14:01
-fd4d6d71-aa9d-4a24-be0f-1d493af45bb7.png)
 
                         
                         
                         
                         
                         
                         
                         
                         
                         
                         
                         
                         
                         
                         
                         
                         
                         
                         
                         
                         
                         
                        