Terenuri de vanzare Braila

Filtre
AI
Sortează
Hartă Listă
Filtre
AI
Sortează
Hartă Listă
Caută cu AI (Beta)
Resetează
Trimite

Anunțuri promovate Vezi toate

Promovat
Zona Buzaului Teren 528 mp cu casa demolabila
4
1

Zona Buzaului Teren 528 mp cu casa demolabila

Agentia imobiliara EXPERT va propune Teren cu casa demolabila zona Buzaului suprafata teren 528 mp deschidere 16 ml Utilitati pe teren apa si curent, canalizare , gazul este la poarta . Zona este linistita. POT maxim 50%, CUT maxim 0.65 Pret 83 000 euro Anunt postat de agentia imobiliara EXPERT ...

528 m2

Buzaului, Braila, Braila

Promovat
Teren cu casa demolabila zona Rosiori
4

Teren cu casa demolabila zona Rosiori

Agentia imobiliara Expert va propune Teren cu Casa DEMOLABILA zona Rosiori in perimetrul C. Calarasilor -Scolilor suprafata 241 mp, deschidere la strada 5,5 ml In partea din spate se lateste la 8 ml X 19 ml Utilitati apa, canalizare si curent. Gazele sunt in fata portii Imobilul se poate folosi si ...

Central, Braila, Braila

Promovat
1000 mp intravilan Chiscani  34m la strada,  35E mp posibil toate utilitatile
2
1

1000 mp intravilan Chiscani 34m la strada, 35E mp posibil toate utilitatile

Teren intravilan de constructii, Chiscani, *5minute pietonal pana la magazinul Profi *Suprafata totala- 1000 mp, Deschidere - 34 m *Posibilitati de utilitati ( apa, gaze, electricitate) *Carte funciara *Pret 35 euro mp Cristian Imobiliare - din 1993 Primii in Braila CRS1135 amp;02

1,000 m2

Chiscani, Braila

Promovat
Teren intravilan
1
1

Teren intravilan

Teren intravilan, 1800 mp, liber de sarcini, Scorțaru Vechi jud Brăila 20 euro metru pătrat

1,800 m2

Scortaru Vechi, Braila

Anunțuri Anunțuri pe pagină: 20 50

Vand teren zona centrala

Vand teren zona centrala

Teren, zona centrala. 2 proprietari - suprafață este in indiviziune. Deschidere aprox 6 metri. Se vinde suprafata de 250 metri. Suprafață totală 303metri. Pe teren exista o casa batraneasca, nelocuita, in suprafață de 100 mp. Utilitati: apa, curent, gaze.

250 m2

Braila, Braila

Teren intravilan- Sat Lau Sarat Braila
4

Teren intravilan- Sat Lau Sarat Braila

Vând teren intravilan in sat Lacu Sărat Braila, (prima strada la intrare pe partea dreaptă) Suprafața de 5000 m2 ( 32 m deschidere și 160 m lungime) Pretul este de 20 euro m2

Lacu Sarat, Braila

Vand teren 5128 m statiunea  Lacu sarat braila
9
15

Vand teren 5128 m statiunea Lacu sarat braila

Vand teren in extravilanul comunei Chiscani,jud.Braila,compus din casa batraneasca nelocuibila. Gadina+,livada cu aprox.400 pomi fructiferi pe rod si vita de vie.Utilitati:apa curenta.posibilitate de gaze la strada.Deschidere ampla la sosea de 23 m.Terenul se afla in spatele statiunii turistice Lacu ...

5,128 m2

Braila, Braila

Teren 640 mp, deschidere 20 m, Cartier Rezidential
2

Teren 640 mp, deschidere 20 m, Cartier Rezidential

Teren intravilan de constructii, Cartier Rezidential * Suprafata teren 640 mp * Deschidere 20 m * Posibilitati de utilitati * Cartier in plina dezvoltare * Toate actele la zi * Pret Negociabil Cristian Imobiliare - din 1993 Primii in Braila CRS7353 amp;12

640 m2

Braila, Braila

Teren intravilan de constructii, Cazasu, St - 2400 mp
1

Teren intravilan de constructii, Cazasu, St - 2400 mp

Teren intravilan de constructii *zona Cazasu *Suprafata totala - 2400 mp *Deschidere - 13 m *Terenul beneficiaza de urmatoarele utilitati: apa, gaze, curent electric *Cadastru Cristian Imobiliare - din 1993 Primii in Braila CRS3779 amp;12

2,400 m2

Cazasu, Braila

Ultracentral -Lic. Balcescu Teren intravilan  363 mp, 2 deschideri de 8m si 7 m,
1

Ultracentral -Lic. Balcescu Teren intravilan 363 mp, 2 deschideri de 8m si 7 m,

Teren intravilan de constructii, zona Ultracentrala -Liceu Balcescu * Suprafata 363 mp * 2 deschideri stradale de 8m si 7 m, * Teren imprejmuit * Posibilitati utilitati: apa, gaze, canalizare, curent electric * Pret 165 euro mp Cristian Imobiliare - din 1993 Primii in Braila CRS7989 amp;02

363 m2

central, Braila, Braila

zona bd.Independentei-Bella Italia Teren 247 mp+Proiect Casa+Autorizatie deschidere 6,17 m,
3

zona bd.Independentei-Bella Italia Teren 247 mp+Proiect Casa+Autorizatie deschidere 6,17 m,

zona bd.Independentei-Bella Italia Teren 247 mp+Proiect Casa+Autorizatie deschidere 6,17 m, *proiect constructie CASA P+1, Suprafata desfasurata 121mp Teren 247 mp, zona centrala, deschidere 6,17m *Posibilitate utilitati *

247 m2

central, Braila, Braila

COMISION 0% TEREN CENTURA BRAILEI - OPORTUNITATE INVESTITII
1

COMISION 0% TEREN CENTURA BRAILEI - OPORTUNITATE INVESTITII

Vă oferim spre vânzare un teren cu suprafața totală de 15.898 m², situat într-o locație strategică, cu deschidere directă la Centura Brăilei. Acesta este un teren liber de construcții, oferind un potențial ridicat pentru diverse tipuri de dezvoltări, inclusiv proiecte comerciale, industriale sau logistice. ...

15,898 m2

Cazasu, Braila

Teren 28.421 mp - autorizație de construcție
1

Teren 28.421 mp - autorizație de construcție

Capital imobiliare va propune sper vanzare un teren generos de 28.421 mp, situat Silistea, jud. Braila, cu acces facil la infrastructura principală, potrivit pentru dezvoltări industriale sau comerciale. Terenul este ideal pentru investitori sau companii care caută o locație cu potențial ridicat de dezvoltare. ...

28,421 m2

Silistea, Braila

COMISION 0% OPORTUNITATE INVESTITII
1

COMISION 0% OPORTUNITATE INVESTITII

Capital Imobiliare va propune spre vanzare, un teren cu o suprafata totala de 30986 mp ,din care 8155 intravilan curti constructii. Pe teren sa afla structura metalica a unei foste hale care a ars , o cladire cu o suprafata desfasurata de 3000 mp ( deschidere 24 m fara stalpi pe mijloc) din care 144 ...

30,986 m2

Silistea, Braila

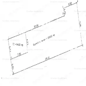
zona Pod Chercea-Apollo 247mp+Casa Demolabila
7
2

zona Pod Chercea-Apollo 247mp+Casa Demolabila

*TEREN cu Casa demolabila, zona Pod Chercea-Apollo (Islaz -Sccoala 18) *Sup tot a terenului este de 247 mp *Deschidere 7,30 mp *Gard din beton *Beneficiaza de toate utilitatile *Apa, Electricitate, Gaze *Canal in curte *Cadastru *LIBER CRS 7866

247 m2

Braila, Braila

Super Pret, zona linistita Teren zona Calarasi 4, 260mp
2

Super Pret, zona linistita Teren zona Calarasi 4, 260mp

Teren Calarasi 4 zona linistita, 260 mp, deschidere 12m *2 anexe demolabile *Amplasat pe col *Actele la zi. *Posibilitate utilitati Cristian Imobiliare - din 1993 Primii in Braila CRS7862 amp;10

260 m2

Braila, Braila

Teren intravilan - ultracentral - Braila - vanzare
2

Teren intravilan - ultracentral - Braila - vanzare

Excelenta prin experienta! Va prezentam un teren intravilan situat in Braila, ultracentral, punct de reper centru comercial Winmarkt. Proprietatea are suprafata de 374 mp 2 deschideri regim de inaltime P+2 , CUT max = 1,2, POT max. = 40% Ideal pentru constructia unei vile. Terenul are toate utilitatile ...

374 m2

Ultracentral, Braila, Braila

zona TUG center-IRMEX suprafata 541 mp cu 14m deschidere
1

zona TUG center-IRMEX suprafata 541 mp cu 14m deschidere

zona TUG Center-IRMEX *suprafata 541 mp cu 14m deschidere *83 euro mp !!!!!! *Posibilitate apa, electricitate, gaze, canalizare *Ingradit gard lemn *Cadastru, intabulare Cristian Imobiliare - din 1993 Primii in Braila CRS7725 amp;10

541 m2

lacu dulce, Braila, Braila

Teren intravilan - vanzare - centura - Cazasu - Braila
1

Teren intravilan - vanzare - centura - Cazasu - Braila

Excelenta prin experienta! Va prezentam un teren pozitionat in intravilanul comunei Cazasu, mai exact: soseaua Ramnicu Sarat - intersectie cu soseaua de centura, la 500 metri, suprafata de 7500 mp, deschidere la soseaua de centura 15 m, ideal pentru constructie hala. Certificatul de urbanism are urmatoarele ...

7,500 m2

Cazasu, Braila

Teren intravilan Minerva Suprafata 4500 mp cu 59m deschidere
2

Teren intravilan Minerva Suprafata 4500 mp cu 59m deschidere

teren cartier Minerva, *suprafata totala este de 4500 mp *deschidere este de 59m *Pret 35 E mp *Posibilitati utilitati *Teren liber *Acte la zi Cristian Imobiliare - din 1993 Primii in Braila CRS3002 amp;06

4,500 m2

Braila, Braila

Teren extravilan - Braila - E584 - vanzare
2

Teren extravilan - Braila - E584 - vanzare

Excelenta prin experienta! Teren extravilan cu suprafata de 150.000 mp, deschidere de 350m la drum european E584, pozitionat la jumatatea distantei dintre Slobozia - Braila. Utilitati: linia electrica + magistrala de irigatii sunt aproape. Pretul terenului este 6 euro mp. Mentionez ca aproape sunt ...

150,000 m2

Braila, Braila

Teren intravilan zona Lic Balcescu Suprafata 374 mp 2 deschideri 210 euro mp
1
2

Teren intravilan zona Lic Balcescu Suprafata 374 mp 2 deschideri 210 euro mp

teren liber de constructii zona Centru Vechi *Suprafata totala 374 mp *Doua deschideri, la doua strazi 15ml *Gard tabla *Posibilitate toate utilitatile *Cadastru *Certificat Urbanism POT= 40% ; CUT=1,2 ; maxim P+2 *Pret 210 euro mp Cristian Imobiliare - din 1993 Primii in Braila CRS6276 amp;1 ...

374 m2

central, Braila, Braila

Faleza VEDERE LA DUNARE  POZITIE Unica ! suprafata 535 mp, deschidere 20 m
3

Faleza VEDERE LA DUNARE POZITIE Unica ! suprafata 535 mp, deschidere 20 m

Teren intravilan zona Ultracentrala vedere Dunare * Foarte aproape de Faleza Dunarii * Suprafata teren - 535 mp, *Deschidere 12m la Dunare Deschidere stradala- 20 m * toate utilitatile, * cadastru, Cristian Imobiliare - din 1993 Primii in Braila CRS2651 amp;11

535 m2

Braila, Braila

ULTRACENTRAL 120Euro mp Teren 252mp Gradina Publica ,deschidere 8m
2
2

ULTRACENTRAL 120Euro mp Teren 252mp Gradina Publica ,deschidere 8m

Agentia imobiliara Cristian va ofera spre vanzare un teren constructii cu o suprafata de 252 mp situat intravilan, in zona Centru Vechi. *Deschidere de 8 m, *Racordat la curent electric si apa. *Posibilitate de canalizare si gaze. Se preteaza pentru constructii * Pret 120 euro mp Cristian Imobiliare ...

252 m2

Braila, Braila

Salvează căutarea